Bruno-Danek-Weg
| ||||||||||||||||||||||||||||||||
|
|
Bruno Danek (geboren am 3. Dezember 1926; gestorben am 17. Dezember 2014 in Herne) war Bezirksvorsteher in Herne und Ehrenringträger der Stadt Herne.

Historie

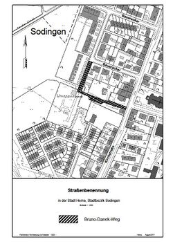
- Gemarkung Sodingen, Flur 3, Flurstück 866
Lagebezeichnung (alt): Baueracker / Kirchstraße (Umformerstation)
Lagebezeichnung (neu): Bruno-Danek-Weg 2
- Gemarkung Börnig, Flur 11, Flurstück 1056
Lagebezeichnung (alt): Kirchstraße 61
Lagebezeichnung (neu): Bruno-Danek-Weg 5
Bruno Danek war von 1941 an als Bergmann auf der Zeche Mont-Cenis beschäftigt. Seit 1952 war er dort Betriebsrat, später dann Betriebsratsvorsitzender der Zechen Mont-Cenis und Constantin. Von 1962 bis 1969 gehörte er dem Aufsichtsrat der Krupp-Hüttenwerke an.
Von 1964 bis 1974 war er Stadtverordneter im Rat der alten Stadt Herne. Nach dem Zusammenschluss von Herne und Wanne-Eickel zur neuen Stadt Herne am 1. Januar 1975 bekleidete er dieses Amt noch bis 1979. Bruno Danek war von 1975 bis 1989 Bezirkvorsteher der durch die kommunale Gebietsreform neugegründeten Bezirksvertretung Sodingen. [3]
Lesen Sie auch
Quellen
- ↑ 1,0 1,1 Foto: Gerd Biedermann †
- ↑ Mit freundlicher Genehmigung der Stadt Herne, Fachbereich Vermessung und Kataster.
- ↑ Bruno Danek

