Die Renaturierung des Ostbachs (Monno)
Von Karl-Heinz Monno
Die Renaturierung des Ostbach.
Am Montag, dem 29. März 2004 traf sich der Landschaftsbeirat mit Vertretern der Stadt um sich das Geschehen zur Renaturierung des Ostbach anzusehen. Renaturieren kann man nur, was vorher entmaturiert wurde. Bäche begradigt oder in ein ihm genehmes Bett gezwängt hat der Mensch schon seit langer Zeit. Mit der Emscher und ihren Nebenflüssen machte das der Mensch seit der sogenannten Gründerzeit im Ruhrgebiet. Durch Bergbau und Industrie kamen immer mehr Menschen in die Gegend. Die ehemaligen Bauerndörfer schwollen zu Städten mit vielen Tausenden von Menschen an. So wurden die Wasserläufe als Kloaken genutzt, wurden in Sohlschalen gelegt und begradigt. Nachdem der Kohleabbau in der Gegend keine Bedeutung mehr hat, die Bergsenkungen abgeklungen sind, kann das Abwasser unterirdisch geführt werden. Es kann vom Reinwasser getrennt werden. Das geschieht zurzeit mit dem gesamten Emschergebiet. Die Renaturierung des Ostbach wurde auf Bochumer Gebiet im Hiltroper Park, ab dem Quellbereich und mit den Nebenbächen, schon vor einigen Jahren durchgeführt. An einem der Nebenbäche scheinen aber immer noch Sickergruben vorhanden sein. Man sieht es am Lauf eines Nebenbachs, an dessen Ufer nach starken Regenfällen immer wieder Fäkalien zu finden sind. Es handelt sich um eine unappetitliche Angelegenheit, die schon vor vielen Jahren abgeschafft werden sollte. In der von der Stadt Herne herausgegebenen Broschüre „Herne von 1929 bis 1933“ wird auf einen mit der Stadt Bochum geschlossenen Abkommen zur Reinhaltung der aus Gerthe und Hiltrop in den Bach gelangenden Abwässer hingewiesen. Im Zuge der folgenden Arbeiten wurde der Bach wohl zum ersten Mal behandelt. Das Problem der Fäkalien wurde aber damals nicht gelöst. Im Bereich des Hiltroper Parks entstand damals eine lange, gerade den Berg herabfließende mit Platten ausgelegter Wasserrinne. Im folgenden Herner Bereich floss das Wasser bis in die 50er Jahre des vorigen Jahrhunderts, durch eine Bachaue fast natürlich. Bei starken Gewittern trat der Bach in diesem Bereich über die Ufer und schwemmte das gemähte Heu fort. Gegenmaßnahme wurde damals auch hier der Bach kanalisiert. Ein Absetzbecken wurde angelegt. Diese frühere Bachaue reichte von der Stadtgrenze Bochum, an der Hiltroper Landwehr beim früheren Nebenhof Heiermann bis zu den Gysenbergteichen. Bei der jetzigen Besichtigung ist der Verlauf des Ostbach schon zu erkennen. Er ist mäandrierend angelegt. Die Ufer sind in groben Steinschotter gefasst, teilweise mit Matten aus Kokosrollen belegt. Diese sollen im Herbst mit Pflanzen bestückt werden. Dem Anschein nach scheint dies bis zur asphaltierten Wegung zum Forsthaus eine gute Sache zu werden.



Unter den Weg wird der Bach unter der Erde geführt, weil er als Zufahrt für die Feuerwehr dient. Mit der Planung in diesem Bereich habe ich meine Bedenken. Hier soll ein Parkplatz für Besucher des Forsthauses angelegt werden. Auch ein Reitweg soll aus dem LSG Herner Mark über den Landwehrweg am Forsthaus vorbei, den Hang des Gysenberg hinauf führen. Ich befürchte dabei Schäden im kleinen, zwischen Bach und Straße liegenden Waldstück. Das Waldstück wird auch noch durch eine Zufahrt zum Gelände der früheren Reithalle in Anspruch genommen. Dort sollen noch Einfamilienhäuser entstehen. Eine andere Frage ist die der Altlasten. So wurde bei der Zeche Constantin Schacht X Teer in den Wald gekippt. In der Altlastenkarte der Stadt von 1988 ist ein langer Streifen entlang der Bochumer Stadtgrenze im LSG mit der Farbe für Altlastenverdacht bestätigt markiert. Bei der Begehung konnte mir von der Verwaltung niemand etwas dazu sagen. Ich befürchte, mit Paks kontaminierte Wasser könnten bis zum Bach durchsickern. Zu diesem Bereich habe ich schon 2003 einen Bericht verfasst:
Im Bereich der Ostbachaue vom Forsthaus Gysenberg bis zum früheren Nebenhof Heiermann hat sich dort noch nicht viel bewegt. Nachdem der Weg entlang des Hofes über den Landwehrweg in den Hiltroper Park vom neuen Besitzer geschlossen wurde, hat es immer wieder Bestrebungen gegeben, eine Wegung durch die Wiese zu legen. Geplant ist es, den Bach in die Mitte der Wiese zu verlegen, um ihn dort natürlich verlaufen zu lassen. Die Gelegenheit dazu besteht schon einige Zeit. Die Reitanlage dort ist beseitigt, die Fläche liegt brach. Was spricht noch gegen eine Bachverlegung?

Zurzeit ist die Stadt noch damit beschäftigt den Bereich der Reithalle zu vermarkten. Das Gelände gehört der Stadt. Die Reithalle wurde in früheres Landschaftssitzgebiet gebaut. Was spricht dagegen, außer einer klammen Stadtkasse, hier wieder eine dem Landschaftsschutz dienende Einrichtung zu etablieren? Dagegen betreibt die Verwaltung den Verkauf der Fläche zwecks Bebauung. Geplant ist eine „Bebauung der höheren Klasse.“ Den Gerüchten nach, sollen für die Töchter des heutigen Besitzers des Hofes Heiermann zwei Häuser entstehen. Für diese Baumaßnahme müsste aber eine verbreiterte Zufahrt entstehen. Dadurch würde aber wieder Landschaftsschutz tangiert. Das schon schmal gewordene LSG Herner Mark würde ein Stückchen schmaler. Nicht schlimm? Es ist so schon schmal genug. Die Bauplanung des „Innenbereichs“ ist auf dem Plan unten zu sehen. Es war von der Gysenbergstraße bis zur Stadtgrenze nach Bochum immer Außenbereich in dem ein einzelnes Haus stand und wurde von der Stadtverwaltung nach und nach zum Innenbereich gemacht. In der ökologischen Stadt ist jede ökologische Dummheit möglich.
So eine Flächenänderung geschieht ganz nach Recht und Gesetz. Es wird ein Verfahren in Gang gebracht. Es dürfen Anregungen und Bedenken geltend gemacht werden. Bedenken die gegen den Verwaltungsvorschlag vorgebracht werden, werden mit der Mehrheit der Stimmen, der in Ausschuss und Rat tätigen, verworfen. In diesem Fall sind es Einwände des BUND, der gegen die Bebauung und damit verursachte Schädigung der Natur Einspruch einlegte. Ein Waldweg wird für die Zuwegung zum Grundstück in Anspruch genommen. Im § 1 der Satzung heißt es: „Ziel der Satzung ist es eine städtebauliche Fehlentwicklung im Siedlungsrand des Ortsteiles Constantin zu korrigieren.“ In der Begründung dazu wird alles dem Umweltschutz dienende erwähnt aber als kleinflächig geringe Eingriffe und so ähnlich herunter geredet. Da durch die Verbreiterung der Zuwegung auch Bäume verschwinden müssen wird in der Vorlage schon vorsorglich auf Baumschäden und lockere Äste hingewiesen. So wird wieder mal dieser nördliche Teil des früheren LSG Herner Mark stark beeinträchtigt.
Im Dezember 2003 wurde im Landschaftsbeirat von der Verwaltung wieder ein neuer Vorschlag über die Wegung vom Parkplatz zum Forsthaus gemacht. Man versucht eine neue Lösung zu finden. Die Verwaltung möchte es den mit einem PKW anreisenden Forsthausgästen nicht zumuten vom Parkplatz zum Forsthaus zu laufen. Man möge doch an die älteren Leute und an Behinderte denken. Man möchte den Weg verbreitern und beim Forsthaus einen kleinen Parkplatz anlegen. Aber wohin den Weg verbreitern? Auf der linken Seite ist der Fußweg, noch nicht lange her, entsiegelt und mit Gehölz überstellt worden. Auch an eine Verlagerung dorthin, wo jetzt der Ostbach fließt ist zu denken. Alles wird eine Menge Geld kosten. Die Verschiedenen Variationen wurden mit Nummern bezeichnet. Ich meine, die Variante Null, das wäre alles im jetzigen Zustand zu belassen, wäre das preiswerteste und für die Umwelt das Beste. Den kleinen Parkplatz wird man wohl nicht nur für die Besucher des Forsthauses reservieren können. Es ist kein privater Grund und Boden.
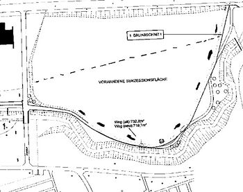
Der Bach aber wird jetzt von den Ostbachteichen getrennt. Die Baggerfahrer sind schon mit der Arbeit beschäftigt. Auch in diesem Bereich wird der Bach mäandrierend angelegt. Die bisherige Zufahrt zum Forsthaus wird aufgegeben und südlich davon verlegt. Der Bach wird zweimal den bisherigen Weg queren. Die begleitende Hecke aus Aronsasträuchern ist zum größten Teil schon vernichtet. Ob einiges davon erhalten bleibt? Der neue Weg wird einige Meter südlich angelegt. Dafür müssen auf der geplanten Trasse, Sträucher und Bäume entfernt werden. Nach der Zeitung kostet die in Angriff genommene Strecke von 600 m den Betrag von 420 000 €. Ebenfalls zu erfahren war, dass ein Zweiter Abschnitt von den Teichen bis zur Sodingerstraße gebaut werden soll. Das soll bis zum Jahr 2006 erfolgen. „Wenn wir bis dahin wieder Geld haben“ hörte ich dazu von einer Mitarbeiterin des Umweltamtes. Den Auftrag dazu, den Ostbach von der Stadtgrenze Bochum bis zur Sodingerstraße natürlich auszubauen, hatte die Verwaltung seit dem 26. 6. 1984 bekommen. Ja aber wenn kein Geld da war. Oder liegt es an einer „lahmarschigen“ Verwaltung oder an Politiker die keinen Druck dahinter setzen wollten?
Andere, viel Geld kostende Dummheiten wurden nicht ausgelassen. Mit dem Geld ist das so eine Sache. Für die Bewirtschaftung des Forsthauses ist es wichtig, die für Gäste bisher verbotene Zufahrt, zu gestatten. Der Weg wird verlegt, weil den politischen Gremien eingeredet wird, eine Zustimmung wäre unbedingt notwendig. Später heißt es dann: Wegen der Verlegung des Weges zum Forsthaus müssen für die Verlegung von Kabeln und für den Bau einer Beleuchtungsanlage wird weiteres Geld benötigt. So bewilligt der Rat weitere Mittel in Höhe von 50 000 €.
Der Ausbau des Baches von den Teichen hinter der geschrumpften Gysenbergmühle her, bis zur Unterquerung der Gysenbergstraße wird noch einiges an Geld kosten. Es ist ein vollständig versiegelter Abschnitt. Ab den Abfluss unter der früheren Bahntrasse bis zur Sodingerstraße könnte es aber billiger werden. In diesem Bereich fließt der Bach zum größten Teil in Mäandern und mit natürlichen Ufern. An seiner Seite die beiden Teiche werden von ihm nicht durchflossen. Aber warten wir ab, was die Planer dazu aushecken nach dem Motto: „was nichts kostet, ist auch nichts wert. In diesem Bereich wurden aber schon Maßnahmen durchgeführt, eine Wegebaumaßnahme. Der Weg sollte breiter, wassergebunden und gerade verlaufend ausgebaut werden. Die Kurven wären zu unübersichtlich und müssten vor allem für Radfahrer gerade verlaufen. In der Sitzung des Landschaftsbeirat am 11. 7. [2002] wurde die Wegeverbindung Stenert / Ostbachtal vorgestellt. In der Sitzung habe ich meine Bedenken vorgetragen. Durch die neue Wegeführung, die dünn gezeichnete Linie in der Planungskarte, würde der Standort von Orchideen vernichtet. Durch den gerade verlaufenden Weg würde das Tempo der Radfahrer erhöht und dadurch Fußgänger gefährdet. Die Planung wurde durchgeführt. Bei dieser brutalen Maßnahme wurde an beiden Seiten Gehölze Kräuter und Stauden entfernt. Vorher wurden die dort stehenden mächtigen Pappeln entfernt. Der Maßnahme fielen gut 100 Orchideen (Epipactis helleborine) zum Opfer. An einigen Stellen wurde die Böschung zum Weg hin mit einer Betonmauer aus Fertigteilen abgestützt. Da haben es über den Weg laufende Kleintiere schwer, wieder in die schützende Vegetation zu kommen.


Pappeln im LSG Ostbachtal
Am 27. 9. 2001 hatte die Grünverwaltung zu einem Ortstermin am Ostbachteich an der Sodinger Straße eingeladen. Es ging um die Holzung der dort stehenden Pappeln. Ich habe damals den folgenden Bericht geschrieben und das Foto vom Bestand gemacht

Da meint man, eigentlich dürfte es in Herne keine Pappeln mehr geben. Aber weit gefehlt. Zum 27. September wurden die Bezirksvertreter des Stadtbezirks Sodingen, die Mitglieder des Umweltausschuss und des Landschaftsbeirats zu einer Freiluftveranstaltung des OR Stadtgrün zu den Ostbachteichen eingeladen. Dort wurden sie mit der Gefährlichkeit des dortigen Pappelbestandes konfrontiert. Es handelt sich um Bastarde. (Populus x canadensis) Die Pappeln haben schon des öfteren Äste verloren. Ich habe selbst schon gesehen dass nach einem starken Sturm vieles am Boden lag. Ich bin aber auch der Meinung, bei einem starken Sturm brauche niemand unter Bäumen spazieren gehen, da ist es sicherere mit seinem Hintern im Hause zu bleiben. Ein Sturm fegt nun hin und wieder mal durch die Landschaft und räumt auf in den Wipfeln. Alles was krank und morsch ist wird herunter geholt. Wenn dann noch etwas zu räumen gibt, sollte der Fachmann vom OR eingreifen. Dafür müssen nicht ganze Baumbestände vernichtet werden.
Aus der grünen Kulisse am Ostbach sollen alle Bäume, es sind 127 „abgängige Hybridpappeln aus Gründen der Verkehrssicherheitspflicht“ entfernt werden. Weitere Argumente der Verwaltung: „Starkäste können herausbrechen, die Bäume selbst sind noch gesund. Auch habe man für Bäume am Weg keine andere Möglichkeit als diese zu entfernen. Wir werden andere wertvolle Bäume anpflanzen“ und der Sprecher vom Umweltamt fügte noch hinzu „Dadurch wird die Artenvielfalt verbessert.“ Und die Bezirksvorsitzende: „ Ihr müsst es wissen, ihr seid ja die Fachleute.“ Etwas Widerspruch kam aber doch aus den Reihen der Eingeladenen. So meinte man, auf die Kulisse neben den Umweltfragen auch aus optischen Gründen auf den Bestand nicht verzichten zu wollen. Es genüge auch ein Weg am Teich vorbei. Den Weg unterhalb der Pappeln solle man sperren und den Weg in das vom Umweltamt geforderte Entsiegelungsprogramm aufnehmen. Auf die Frage, ob es sich bei dem Baumbestand nur um die Schwarzpappelhybriden handele, wurden auch die vorhandenen Berliner Lorbeerpappeln genannt. Auch Populus x berolinensis ist eine Hybride. Bei dieser oft gepflanzten Pappel handelt es sich um einen Bastard, an dem unsere Schwarzpappel beteiligt ist. Es ist ein schmalkroniger Baum mit aufstrebenden Ästen. Er hat nicht die negativen Eigenschaften, die den Canadensis-Hybriden nachgesagt werden. Eins steht aber fest, das Pappelsterben in Herne geht weiter.
Ich hatte schon davon gehört, der neue Amtsleiter würde genau so gegen Pappeln vorgehen, wie sein Vorgänger. Der Grund ist die Angst vor Strafen und Schadensleistungen die von Gerichten ausgesprochen werden können, wenn Unfälle durch stürzende Äste oder Bäume geschehen. Nach Erklärungen des Amtsleiters in einer Sitzung des Landschaftsbeirats zu einem tödlichen Unfall, der sich in Castrop ereignet haben soll, habe ich um Unterlagen, Zeitungsausschnitte oder ähnliches zum tragischen Unfall gebeten. Wenn es ihn gegeben hat, will man es ja genaues wissen. Ich habe keine Unterlagen bekommen. Gerichtsurteile wird es in derartigen Fällen aber bestimmt schon gegeben haben. In der Regel kippt ein Baum nicht plötzlich um. Meist ist starker Sturmwind eine Ursache. Ob man sich dabei unbedingt im Freien aufhalten und in Gefahr begeben muss?
Der folgende Bericht und Pflanzplan wurde dem Ausschuss für Umweltschutz vorgelegt, der die Maßnahmen genehmigte.
- 18/2-Pa./Sä. - 23 63 -
- Stadtämter 18/1, 15
- Mitteilung der Verwaltung
- - Ausschuss für Umweltschutz -
- - Bezirksvertretung Sodingen -
hier: Beabsichtigte Rodung von Pappelbeständen im LSG Ostbachtal
Wie bereits bei der gemeinsamen Ortsbesichtigung mit Vertretern des Landschaftsbeirates, des Umweltausschusses sowie der Bezirksvertretung Sodingen am 27.09.2001 erörtert, war es in jüngster Vergangenheit vermehrt zu Astausbrüchen der alten Pappelbestände, insbesondere im Bereich der Wanderwege, gekommen.
Insgesamt handelt es sich um 138 alte Pappeln, die ausnahmslos alle Vitalitätsverluste aufweisen. Altersbedingt kam und kommt es immer häufiger zu Astbrüchen, insbesondere im Starkastbereich.
Der ganze Baumbestand ist stark abgängig
Um eine Gefährdung der Öffentlichkeit auszuschließen und zur Wahrung der Verkehrssicherheit ist daher die Entfernung von zunächst 71 Pappeln zwingend erforderlich, zumal alle Bäume bereits ihr Lebensalter von ca. 70 Jahren erreicht haben und mit einer Vitalitätsverbesserung auf keinen Fall zu rechnen ist.
An den restlichen Pappeln müssen zum Erhalt bzw. zur Wiederherstellung der Kronenstatik jedoch Kronensicherungsschnitte durchgeführt werden.
Da die Pappeln im Landschaftsschutzgebiet Ostbachtal stehen wurde vom OR Stadtgrün zunächst bei der unteren Landschaftsbehörde eine Befreiung für diese Maßnahme beantragt.
Im Rahmen der eingehenden Prüfung wurde gemeinsam mit Vertretern des OR Stadtgrün jeder Baum einzeln begutachtet mit der Maßgabe, diese Baumfällung auf das unbedingt erforderliche Maß zu reduzieren.
Die Genehmigung zur Fällung von 71 Bäumen wurde anschließend mit den Auflagen versehen, als Kompensation Ersatzpflanzungen in gleicher Größenordnung mit einer entsprechend ökologisch hochwertigen Unterpflanzung vorzunehmen. Die Pflanzen- und Artenauswahl ist der beiliegenden Anlage zu entnehmen.
Anschließend kann sich in diesem Bereich aufgrund der unterschiedlichen Artenauswahl ein weitaus höherwertiger Vegetationsbestand entwickeln und somit den Schutzzielen des Landschaftsschutzgebietes Ostbachtal gerechter werden.
Die Ersatzpflanzungen werden von der Verwaltung bis zum 30.04.2002 durchgeführt.
Die Öffentlichkeit wird unmittelbar vor der Maßnahme durch die örtlichen Medien unterrichtet.
Unterschrift

Die folgenden Fotos wurden im Mai 2002 gemacht.


Auch im weiteren Verlauf des Ostbach nach Süden hin, wurden Pappeln gefällt. Hinter dem 2. Teich stehen nur noch 3 Pappeln. Auch die Pappelallee aus Berliner Lorbeerpappeln zur Rechten auf dem Friedhofsgelände ist geholzt worden. Im Verlauf des Ostbach von der Brücke zum Friedhof bis zur Gysenbergstraße sind alle Pappeln entfernt worden. Im ganzen Bereich hat man das von den Baumleichen stammende Mulchmaterial ihrer Zweige und Äste in dicken Packen auf den Wegrand aufgebracht. In diesem Bereich standen schon einige Jahre Orchideen der Art Epipactis helleborine. Ob diese den massiven Eingriff und das Überdecken überleben werden? Mulchmaterial wird im Gartenbau angewendet um Unkraut niederzuhalten. Orchideen sind sehr empfindlich. Außerdem ist das Vernichten ihrer Standorte nach dem Landschaftsgesetz verboten.
23. Mai 2002
LESERECHO 11. 3. 02
Humane Baumfällung
Zu „Heckenschnitt bis zum Oktober verboten", WAZ vom 7. März, schreibt Ulrich Huth, Stammstraße 7:
Es grenzt schon in diesem Fall fast schon an Zynismus, wenn die Stadt Herne ihre Bürger an ihre Pflichten erinnert. Denn was in diesen Tagen und vergangenen Wochen im Landschaftsschutzgebiet Ostbachtal passiert ist, dafür ist der Ausdruck „Verwüstung" schon nicht mehr passend. Sicherlich ist es erforderlich, Baumbestände zu bereinigen, wenn sie eine Gefahrdarstellen, aber wie das vor den Augen des Grünflächenamtes passiert, davon kann man sich in diesen Tagen im Ostbachtal ein Bild machen.
Ohne Rücksicht auf die dort wild lebenden Tiere und Natur wird mit schweren Räumgeräten praktisch alles vernichtet oder zerstört, was sich nicht schnell genug retten kann. Die dort lebenden Tiere und demnächst auch brütenden Wassertiere (darunter seit drei Jahren auch seltene Kanadagänse), wären für eine, was sicherlich mit etwas guten Willen möglich gewesen wäre, humanere Art der Baumfällung, und Beseitigung schon dankbar gewesen.
Beim Krieg gegen die Pappeln sind schon viele dieser Bäume gefällt worden Die Pappeln sind nichts Wert und anderer hanebüchener Unsinn wird dabei verbreitet. Wir wissen aber nicht erst seit dem Irakkrieg, das im Vorfeld und der Durchführung eines Krieges gelogen wird. Da mühen sich viele Menschen Bruthöhlen im Stadtgebiet aufzuhängen. Werden von Umweltorganisationen dazu zu rechtaufgerufen. Bei jeder Baumfällung aber werden Brutmöglichkeiten der kleinen Sänger vernichtet. Bei Pappeln verlieren vor allem die Höhlenbrüter diese Möglichkeit. Künstliche Nisthilfen aufzuhängen ist gut, fehlt es aber an Nahrung in der Umgebung werden diese Hilfen wenig fruchten. Neben der Eiche ist aber die Pappel eines der wichtigsten Nahrungsbäume für die Tiere. Weit über hundert Insektenarten sind auf Pappeln angewiesen. Mit dem Sterben der Pappeln wird ein weiteres Artensterben in Ganggesetzt Aber das macht mal jemanden klar, der nicht erkennen kann oder nicht erkennen will. Darunter sind Menschen, die sich als gebildet bezeichnen.
Der nächste Abschnitt, von der Sodingerstraße bis zur Schillerstraße ist schon in Angriff genommen. Diese Renaturierung wird von der Emschergenossenschaft durchgeführt. Der Ausbau des unterirdischen Schmutzwasserlaufs ist in diesem Bereich fertig gestellt. Das Wasser fließt aber noch über der Erde. Die Platten sind noch nicht entfernt. Auf der alten Planungskarte aus dem vergangenen Jahrhundert ist zu erkennen, wie der Ostbach einst vergewaltigt wurde. Welchen neuen Verlauf er bekommen soll ist mir nicht bekannt.

Ab der Schillerstraße fließt der Ostbach unterirdisch. Ob in diesem Bereich etwas naturiert werden kann, ist mir nicht bekannt. Ab Strünkede fließt er wieder im offenen Verlauf. Hier könnte noch etwas geschehen. Aber erst wenn das letzte Bild nicht mehr zu sehen ist wird der Ostbach sauber sein. Wenn das klare Wasser des Baches in das klare Wasser der Emscher ohne Betonausbau fließt, wird das Emschersystem ein Gutes und Gesundes sein.

Jetzt, Ende 2005 sind die oben angesprochenen Maßnahmen durchgeführt. Die Orchideen habe ich noch nicht wieder gesehen. In dem Bereich hat sich aber der Schmetterlingsstrauch (Buddleja) in mehreren Exemplaren angesiedelt. Der Abschnitt von der Sodinger Straße bis zur Schillerstraße ist in Angriff genommen worden. Der Bach fließt noch in Betonplatten. Für neue Brücken wurden die Widerlager installierte. [1]
Verwandte Artikel
Quellen
- ↑ Karl-Heinz Monno 2003—2005
